3 dias nas Keys (EUA) : Snorkeling em Key West, praias de sonho – Viagem de carro na Flórida #1
Este artigo marca o início da série de diários de viagem para a nossa viagem rodoviária à Florida. Fica atento porque muitas surpresas estão à tua espera.
Parte 1: Diário de Viagem Parte
2: Dicas Práticas
Parte 1: Diário de viagem
Hoje é o nosso último dia em Miami Beach. Antes de sairmos na nossa viagem, embalamos toda a nossa roupa de Inverno e equipamento informático numa mala e deixamo-la num cacifo. Será mais seguro do que deixá-los sem vigilância no porta-malas do carro durante as nossas visitas (mais sobre os cacifos disponíveis em todo o mundo aqui).
É uma boa escolha porque não só nos dá mais espaço no porta-malas, como também obriga o JB a fazer um corte real, já que o seu computador também está no cacifo (risos malignos ahahha). Normalmente, eu faço um blog na mesma noite das visitas, mas isso me esgota muito, então meu computador também está no armário e eu tenho que confiar na minha memória para digitar estas linhas para você mais tarde.
Aluguer de automóveis na Hertz
Antes de ir para a América do Norte, JB pegou um cartão American Express Air France (mais informações) para nos poupar custos de seguro (Amex cobre muito bem para este tipo de coisa), então nós confiantemente alugamos um carro da Hertz, sem ter que pagar pelo seguro desta vez.

Fomos atualizados para a próxima aula, então, em vez de irmos com um compacto, vamos com um Chevrolet Cruz simpático, silencioso e automático. Continua pequeno e manobrável em comparação com outras pick-ups e monstros na estrada (os americanos não gostam de carros pequenos). Como você pode ver na foto, no Canadá e nos EUA, não há placa de carro na frente do carro.
Programa
Para ir para as teclas, aqui está o nosso programa (mouse sobre os pontos redondos)
- Dia 1: Sair de manhã cedo. Snorkeling no Islamorada às 13h. Noite em Homestead
- Dia 2: Viagem para Key West com várias paradas(Ponte das Sete Milhas, Marathon, Bahia Honda Key). Visite Key West à tarde. Noite em Key West
- Dia 3: Snorkeling em Key West às 9 da manhã. Visite Key West à tarde. Noite ao lado de Homestead.
No primeiro dia, tivemos que voltar a dormir em Homestead, mas ou era isso ou pagar 200 euros por um hotel que não teríamos tempo para desfrutar em Key Largo.
Dia 1: Como nós quase perdemos nossa viagem de snorkeling
O passeio de snorkeling às 13h foi agendado por telefone com uma semana de antecedência. Aqui estamos de manhã cedo com o nosso Chevrolet Cruz, saindo de Miami Beach às 9 da manhã. Estamos muito adiantados. Um pensamento me passa pela cabeça: teremos muito tempo para ir a um centro comercial e almoçar lá.
Pequena viagem ao centro comercial
Então vamos para Dandeland Miami, a 30 minutos de Miami Beach porque eu queria comprar algo na Urban Outfitters, e ver se podíamos comprar uma pala de sol para o carro.
Contra todas as probabilidades, vemos uma loja Tesla, você sabe, carros eléctricos autónomos! Entramos timidamente na loja, mas o vendedor imediatamente nos coloca à vontade e nos permite entrar em todos os carros e brincar com o painel de controle (que é tão grande quanto um computador).

Não sou muito de carros, mas admiro esta destreza técnica combinada com um design minimalista que é difícil de resistir. Há sempre os pedais de freio e velocidade (para recuperar o controle do carro – por diversão). Mas não há alavanca de velocidades, o carro é automático, eléctrico, pode conduzir sozinho, não há sequer uma chave, apenas um cartão deslizante. O tecto é vidrado, os bancos auto-aquecedores movem-se para a frente, para trás, reclinam-se com um clique.
Tudo é centralizado através da enorme tela de controle. Como resultado, há muito espaço entre os dois bancos da frente. Também se sente mais perto da janela, porque o espaço do banco da frente, sem todos os botões, foi extremamente simplificado.

Depois almoçamos no Chick-fil-A, uma cadeia de fast-food equivalente ao KFC, sobre a qual já ouvi muitas coisas boas. No final, não foi assim tão bom. A única coisa boa eram as batatas fritas deles.
São 11:00 e estou a ligar o GPS do telefone. No dia anterior (como à meia-noite), eu tinha verificado no Google Maps e deveríamos chegar lá às 12 horas normalmente. Para uma consulta às 13h.
Mas aqui, o horror: o Waze anuncia 2h30 de estrada em vez de uma! Eu não tinha levado em conta os engarrafamentos de um fim-de-semana nos meus cálculos, erro de principiante! (há apenas um caminho para as Chaves, por isso é impossível fazer o contrário).
JB me dá um olhar negro e podemos sentir que ele está estressado, ele está esperando há meses por este passeio de snorkel nas chaves. Estou a tentar tranquilizá-lo o mais que posso: temos um compromisso às 13:00, sim, mas o barco parte às 13:30. E então o barco só tem 6 passageiros, eles estarão esperando por nós. Um pequeno telefonema para a agência mais tarde, a senhora não está nada contente, mas diz-me para chegar o mais rápido possível. Durante 2h30, estamos muito tensos e assim que o Waze prevê um minuto extra à nossa hora de chegada, o stress sobe um pouco.
Além disso, vemos sinais de “portagem” por todo o lado, mas não entendemos como pagar. Entenderemos mais tarde que entre Miami e as Keys, a portagem é automática e a nossa empresa de aluguel de carros se encarregará disso cobrando-nos taxas extras (mais informações sobre a portagem aqui).
Snorkeling no Islamorada
Mas os planetas estão alinhados e esta viagem está sob o sinal do milagre, então chegamos às 13:31, e corremos para assinar os papéis, pagar (50$/pessoa em dinheiro), levar as barbatanas e estamos no barco… Conseguimos, conseguimos! #insertamo-sorrisos-dançando-aí É como se eu tivesse tornado o sonho americano realidade ahahhahahahahaha:D
Parámos a uma milha de um velho farol. Enquanto estamos mergulhando, um dos convidados desce primeiro para fazer o mergulho com seu instrutor.
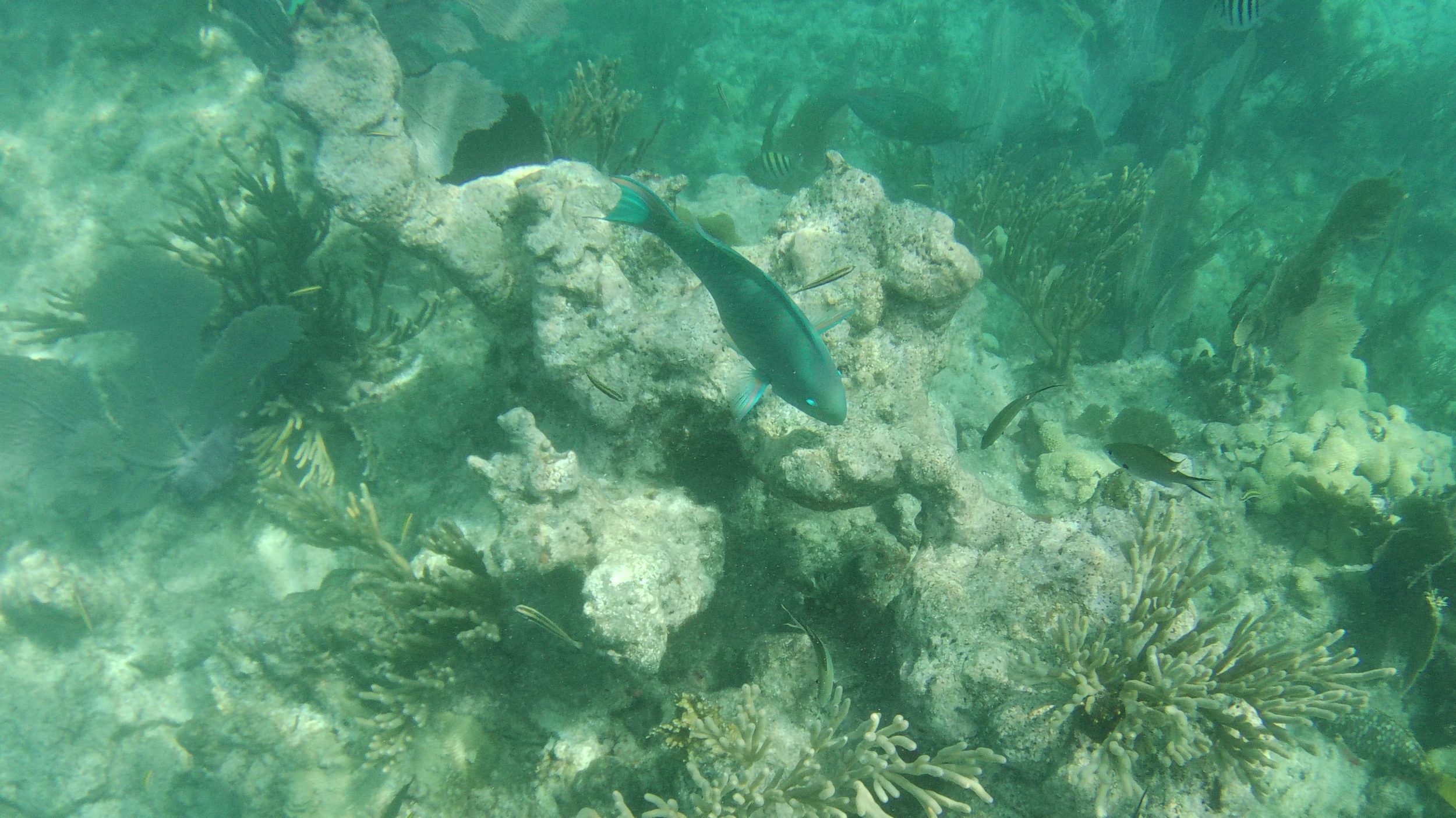
A água hoje não está muito clara, infelizmente, e não há muitos peixes. O sol está ausente, por isso dá uma cor verde nas fotos, em vez de azul, não é muito agradável. Depois de contornar a área, estamos prestes a voltar para o barco quando vemos que os peixes estão todos… debaixo do barco – para desfrutar da sombra. E uma enorme barracuda está escondida lá também (à distância, pensei que era um tubarão e meu coração parou por um microssegundo).

barracuda 
pequenos peixes
O capitão preocupa-se e olha para todo o lado porque não consegue ver as bolhas dos mergulhadores. Na verdade, o instrutor habitual está doente e é substituído por outra pessoa – que entrou no barco errado e andou em círculos durante uma hora. Talvez tenha sido por causa deste atraso que finalmente só fizemos uma paragem? (em vez de 3!).
No caminho de volta ao porto, os americanos gritam “manatim” e nos mostram algo que se parece com a parte de trás de um selo. Eu tive que pesquisar no Google para descobrir o que era => manatim em inglês
Noite em Homestead

Voltamos para o carro com chuva torrencial e voltamos para Homestead. Nosso hotel: Hotel Redland(Booking link) com seu bar de whisky, com uma decoração muito antiga, muito americana, nós gostamos muito. A paella está para cair. Passamos uma boa noite e tanto melhor porque precisávamos de descansar depois de tanto stress 🙂
Para ver o vlog deste primeiro dia de viagem, veja o nosso vídeo :
Segundo dia
O ambiente de férias está no seu auge, saímos cedo esta manhã para evitar ficarmos presos em engarrafamentos como no dia anterior. Encontrei na Internet várias praias que nos podem interessar no caminho. A ideia é pilotar o nosso pequeno zangão, não nadar porque a estrada ainda é longa (mais de 200km para fazer numa manhã).
John Pennekamp Coral Reef State Park, Overseas Highway
Primeira paragem: John Pennekamp Park em Key Largo. $4,5/pessoa. As pessoas vêm aqui para nadar, mas principalmente para andar de caiaque. Os mangues crescem em todo o lado (ver foto aérea), e é o habitat ideal para crocodilos e jacarés. Há um sinal que indica a presença de crocodilos. A área de natação é protegida por uma rede, mas sinceramente é inútil.
A partir daqui é possível optar por um passeio de snorkeling de barco. Key Largo é o melhor lugar para fazer isso, pois há um recife de coral na área. No entanto, as opiniões recentes são mistas, parece que as tempestades recentes destruíram muito na área.


Praia de Sombrero

Uma das praias mais bonitas das Keys. A sério? Uhhh… A vantagem que eu vejo são os chuveiros gratuitos, e o estacionamento gratuito também.
Admito que a foto acima não é má de todo, mas na vida real, um cheiro doce de algas em decomposição ataca as narinas. Está marcado em todas as praias da Florida que se recusam a remover as algas porque serão usadas como fertilizante para os manguezais. Ecosistema tudo isso. Isso é bom!
Por outro lado, o jogo dos turistas será encontrar A praia sem algas marinhas, ou com algas mas sem cheiro fétido.
Ponte das Sete Milhas
Se você olhar para o Google Maps, você vai pensar que ir para as Keys é como saltar de ilha nas Filipinas, mas de carro, com pontes entre as ilhas. Vais conduzir quase ao mesmo nível de água, como se estivesses a tomar banho no azul do oceano. Que não! Tudo isto está FINALIZADO!
O mangue tomou conta, agora você tem o verde do mangue que bloqueia a vista 🙁 Aqui está uma foto aérea para ilustrar esta “poluição visual” 😀

Mas, mas, mas, ainda há um lugar mágico nas Keys, e é a Ponte das Sete Milhas. Sem manguezais. Azul até onde a vista alcança. A ponte transporta o aqueduto Florida Keys e cabos de fibra óptica.
A velha ponte, paralela à nova, tornou-se agora pedestre, ideal para pescadores, ciclistas… e turistas.

vimos uma enorme barracuda e alguns pássaros. Foi magnífico! Eu nunca me canso disso.


Bahia Honda
É realmente a praia mais bonita das Keys. Ok, a alga marinha ainda está lá, e a parte da areia é um pouco pequena, mas..
(1) não sente nada
(2) as profundidades são variáveis, você pode sentar, como snorkeling, nadar, andar de caiaque…
(3) a praia é enorme
(4) há chuveiros no local
(5) os estacionamentos são enormes


A entrada é de $4,5/pessoa. E se você for até o fim, encontrará um pequeno caminho que leva à velha ponte destruída pelas tempestades. Algumas pessoas mergulham por perto porque há mais peixes por lá.

Tiramos o nosso saco de praia do baú com a intenção de nadar nele, mas as nuvens ameaçadoras vieram muito rápido 🙁
Oeste chave

Nós conduzimos sem parar e chegamos FINALMENTE a Key West! Enquanto o corvo voa, estamos a 170KM de Havana, é uma loucura! O desenvolvimento de Key West foi feito graças à sua posição estratégica, ao seu porto de águas profundas, à sua base naval… e a ilha é conhecida internacionalmente graças às personalidades que a visitaram, como Hemingway, Tennesse Williams…
Ao contrário de outros lugares nos EUA, as ruas aqui têm nomes em vez de números. É mais difícil encontrar o seu caminho 🙂
Fazemos o check-in no hotel primeiro na Douglas House (Booking link) (estilo casa antiga, é super agradável, com estacionamento privado), antes de visitar o porto. Sendo raras as vagas de estacionamento gratuito, a maioria delas é marcada como “residencial” (para os locais), por isso só temos estacionamento pago, a 4$ por hora.
No porto, vamos ver diferentes agências para o snorkeling de amanhã. JB insiste no lado 2 ou 3 paradas para evitar passar o dia inteiro em águas pouco claras. A maioria das agências de snorkeling não tem um escritório, e só vendem bilhetes online, por isso só reservamos e pagamos online também.

Ponto mais austral dos EUA Continentais
Passamos rapidamente pelo ponto mais ao sul dos Estados Unidos, mas vendo a fila para tirar fotos e a impossibilidade de estacionar, não podíamos parar por lá. Para ver o que é, aqui estão as fotos no Google
Praia de Higgs
O passeio no cais de Higgs Beach é realmente relaxante. A água está infelizmente um pouco verde como ontem, e vemos do cais que não há muitos peixes por aqui.

Nós conduzimos pela cidade e admiramos as belas casas antigas que fazem a reputação desta ilha.


Praça Mallory
Terminamos o dia na Praça Mallory para o famoso pôr-do-sol. Há um foodtruck no local, um restaurante caro e muitas animações para esperar até o pôr-do-sol, às 20h. Estamos aliviados por ver a água muito azul aqui, é provável que o snorkeling seja excepcional amanhã com água tão límpida.

As nuvens tornam o céu ainda mais bonito. Você também pode optar por um passeio de snorkeling ou um passeio de barco neste momento.


Dia 3
Snorkeling
No dia seguinte, partimos para um passeio de barco de 4 horas com Fury Water Adventures. A reserva online dá-nos 10% de desconto, e escolhemos o pacote “Double Dip” para ter 2 paragens.

Foi uma escolha muito boa porque a agência parece estar preocupada com o ambiente, fornecendo-nos protector solar compatível com os corais; e pedindo-nos para respeitar a área de snorkeling e manter uma distância mínima dos corais. Tudo é fornecido (máscara, snorkel, barbatanas, as bóias em forma de batata frita a que chamam “macarrão”).
As bebidas sem álcool são servidas à vontade durante toda a viagem, mas as cervejas só são servidas após o snorkeling. Há uma área de água doce na parte de trás do barco para o enxágue. Óptimo, porque temos um longo caminho a percorrer depois.
A água é claramente mais azul, mais transparente. Deve ter pelo menos 5 metros de profundidade, mas podemos ver tudo até ao fundo. Há sempre peixe. Claramente não estamos na Tailândia, Filipinas, Austrália ou Cuba, mas mesmo assim é bom.




Ouvi um turista falar de um tubarão enfermeiro visto na areia, e JB viu uma enorme barracuda.
No barco, fiquei muito envergonhada com o comportamento dos franceses… Eles são os únicos que fumam cigarro após cigarro, sem constrangimento, em qualquer país; odeio fumar e me ressinto deles pelo fumo passivo que eles me impõem.
Casa leve
É difícil ver agora a utilidade de tal farol tão longe do porto e rodeado de árvores e casas, mas este farol guiou centenas de barcos antes de ser declarado obsoleto em 1969.

Casa de Hemingway
Mesmo aqui ao lado é a casa do escritor Hemingway. Levou-nos muito tempo para encontrar um lugar de estacionamento (gratuito também) e andar neste calor, mesmo 5 minutos, quase me acabou.
Mas assim que ponho os pés no jardim, sinto-me bem outra vez. A entrada é de $14/pessoa, e o pagamento é apenas em dinheiro. Podemos dar-lhe um documento de apresentação (em todas as línguas) mas há visitas guiadas gratuitas em inglês regularmente e pudemos fazer uma destas visitas.

A casa parece enorme, mas por dentro, cada quarto parece bastante pequeno (talvez por causa da decoração, que também está um pouco ocupada).

Hemingway gostava muito de gatos, e tinha um gato branco de neve com 6 dedos (os gatos normais têm 5), que lhe foi dado por um capitão. Os gatos Polydactyl são particularmente bem adaptados no barco porque aparentemente caçam melhor os ratos. Graças à vida muito activa da Branca de Neve, os seus descendentes são numerosos e agora metade dos gatos do barco têm 6 ou mais dedos, tal como ela.

Gatos são permitidos em toda parte, dormindo na mobília, na cama, no antigo escritório do escritor… exatamente como quando o escritor estava vivo.


A famosa piscina da casa custou 3 vezes mais a construir do que a própria casa 🙂 ela continua a ser a maior da ilha. Infelizmente, já ninguém a usa.

Visitar esta casa é a minha experiência Key West preferida. Falar sobre isso ainda desperta muitas emoções para mim. Ouvi e li tanto sobre esta casa e seus gatos que sinto que ela só existe em livros. Além disso, o calor sufocante e os muitos ventiladores no teto me levam de volta à minha infância.
Não, não tínhamos uma casa com um jardim como este no Vietname, mas enquanto caminhava pelo jardim, lembrei-me da pequena casa da minha falecida avó. No quarto, havia um enorme ventilador de teto. Este fã foi comprado como resultado do ganho da loteria do pai… na época, este fã valia tanto quanto um Porsche hoje em dia, então mesmo quando ganhou a loteria, o pai escolheu comprar a coisa mais necessária para todos nós: um fã. Os vietnamitas costumavam dormir a sesta depois do almoço, e apesar da minha incapacidade de dormir a sesta como toda a gente, a minha avó tentava sempre fazer-me dormir, embalando-me para dormir a cada meio-dia. Deixei-a fazê-lo porque a cantoria era boa.
Con cò mà đi ăn ăn đêm,
Đậu phải cành mềm, lộn cổ xuống ao.
Ông ơi! Ông vớt tôi não,
Tôi có lòng nào, ông hãy xáo măng.
Có xáo thì xáo nước trong,
Đừng xáo nước đục, đau lòng cò con.
Todos os dias, durante a hora da sesta, eu olhava para aquele ventilador, observando o menor barulho dos vendedores ambulantes, ou qualquer barulho que rasgasse aquele momento de paz em que a cidade inteira parecia estar em alerta. Eu deitava-me ali, com a cabeça numa fronha de cetim azul com fênix e dragão bordados. Quando havia cortes de energia (muito numerosos naquela época), minha avó tirava o seu grande ventilador, um ventilador que cheirava bem, enquanto continuava a me abalar. Ela acabava sempre por adormecer primeiro, enquanto os meus olhos bem abertos continuavam a olhar fixamente para o movimento do ventilador. E hoje, neste jardim verde onde pus os pés pela primeira vez, neste calor húmido mas silencioso, nem sequer o do vento, encontrei a mesma quietude daquelas muitas sestas no Vietname. Tudo o que eu precisava era da canção da minha avó.


Voltamos na direcção oposta, deixamos Key West e passamos a noite em Kendall. O vlog dos 2 dias em Key West também está disponível aqui :
Leia mais sobre a nossa incrível viagem na Flórida aqui
Parte 2: Dicas Práticas
Orçamento e endereços
- Snorkeling em Key Largo: escolha a agência que deseja, o + seria ter de 2 a 3 paradas para variar as profundidades. Esta parte é muitas vezes mais agitada do que em Key West, portanto tenha cuidado com aqueles que ficam enjoados. Conte 45$ a 50$/pessoa. Você pode pagar um pouco menos através do Groupon.
- John Pennekamp Coral Reef State Park: $4,5/pessoa, espere dinheiro
- Bahia Honda Beach: 4,5$/pessoa, espere dinheiro
- Snorkeling em Key West: recomendamos as aventuras Fury Water, o pacote Double Dip com 2 paradas a 52$/pessoa. O pagamento e a reserva online dar-lhe-á 10% de desconto
- Visita à casa de Hemingway: apenas $14/ pessoa em dinheiro
- Estacionamento pago em Key West: 4$/hora, forneça moedas ou 1$ se você quiser pagar em dinheiro. O pagamento por cartão de crédito é aceite.
- Alojamentos em Homestead e Kendall
- Em uma encantadora casa antiga: Hotel Redland(Booking link) $69 por quarto duplo, café da manhã e bebidas de boas-vindas incluídas
- Muito limpo: WoodSpring Suites Miami Southwest(link Reservas) $73,61 por quarto duplo, café e chá ilimitados
- Alojamento em Key West: numa casa encantadora com piscina: Douglas House(Booking link) $149 por quarto duplo, café e chá ilimitados

Este artigo é parte da nossa série de Viagem de carro na FlóridaVocê pode encontrar todos os outros livros de viagem aqui:
- 3 dias nas Keys (EUA) : Snorkeling em Key West, praias de sonho – Viagem de carro na Flórida #1
- Golfinhos selvagens em Nápoles, The Ringling, Siesta Key Beach, Dali Museum (EUA) – Viagem de carro na Flórida #2
- Ginnie Spring, Rainbow Spring (EUA) – Viagem de carro na Flórida #3
- The Drive In experience, o cinema ao ar livre nos Estados Unidos – Road trip in Florida #4
- Disney Parks in Orlando (USA) : Top Attractions, where to stay, Fast Pass : Viagem na Flórida #5
- Universal Islands of Adventure in Orlando (USA) : Nosso parque temático favorito – Viagem de carro na Flórida #6
- Kennedy Space Center, Hollywood Beach – Florida Road Trip #7
- Assista ao lançamento de um foguete no Cabo Canaveral (EUA) – Viagem de carro na Flórida #8